|
Building WWI Government Houses in Niles.
|
|

Houses on Lafayette Street near
the curve and Washington Avenue.
|
Why do so many houses look the same on Lafayette
Street, Vienna Avenue and Davis Street?
During World War I the government confiscated
land to erect housing for workers in vital industries in Niles.
Pictured on the left are three houses built
by the government.
The close-up of the center house shows what
size each residence occupied on the confiscated land. These
houses still are occupied today(2024).
|

Close-up view of house on Lafayette
Street. |
|
| 
Niles Daily News July 11, 1922
(Stein house was exempt from seizure) |
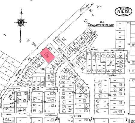
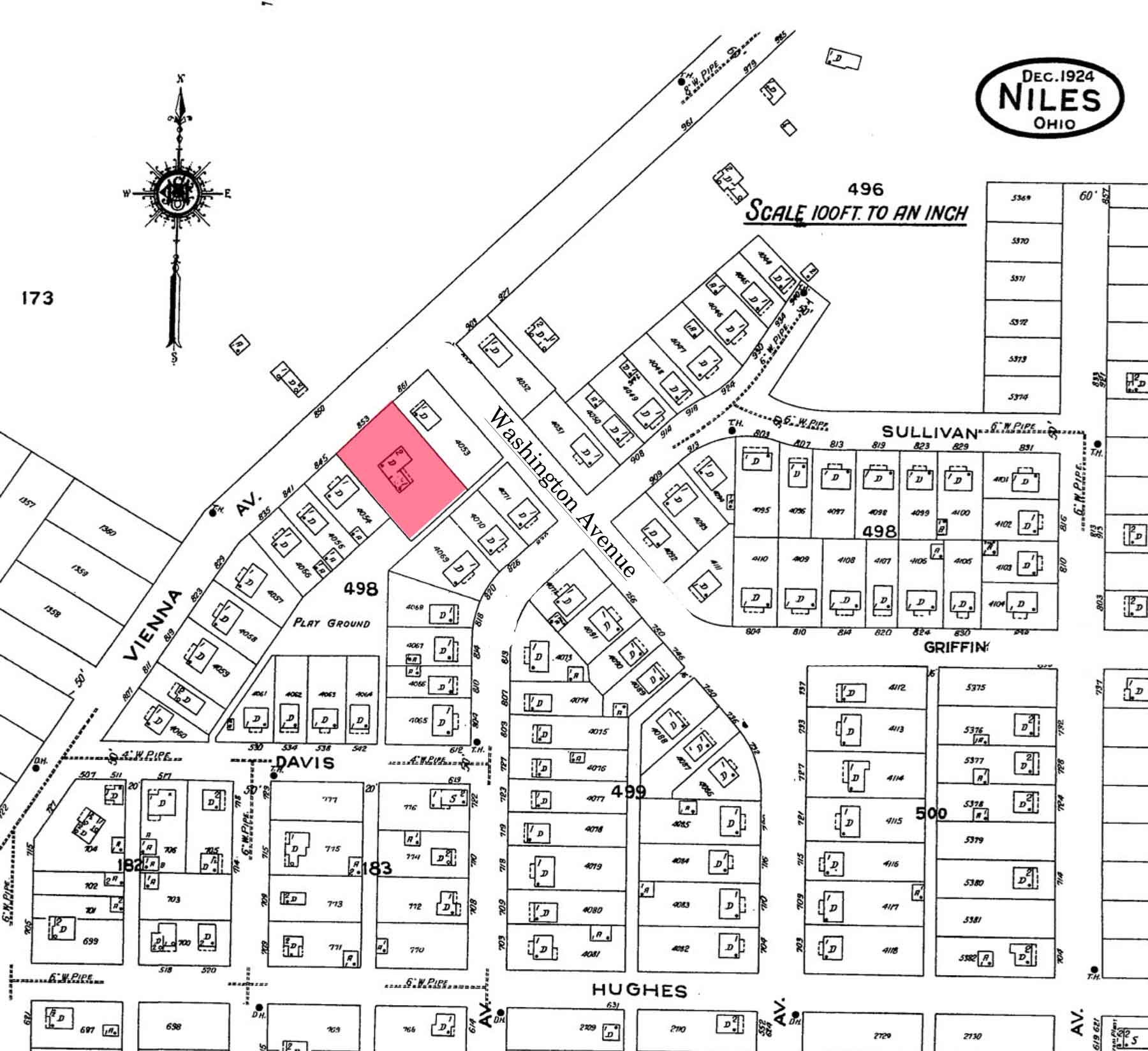
The 1924 map of the
area involved with the Stein home property marked in red.
L). The Stein home was exempt from government
seizure.
R). However, the Stein family owned additional
property which the Federal Government which to seize under condemnation
proceedings. |

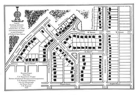
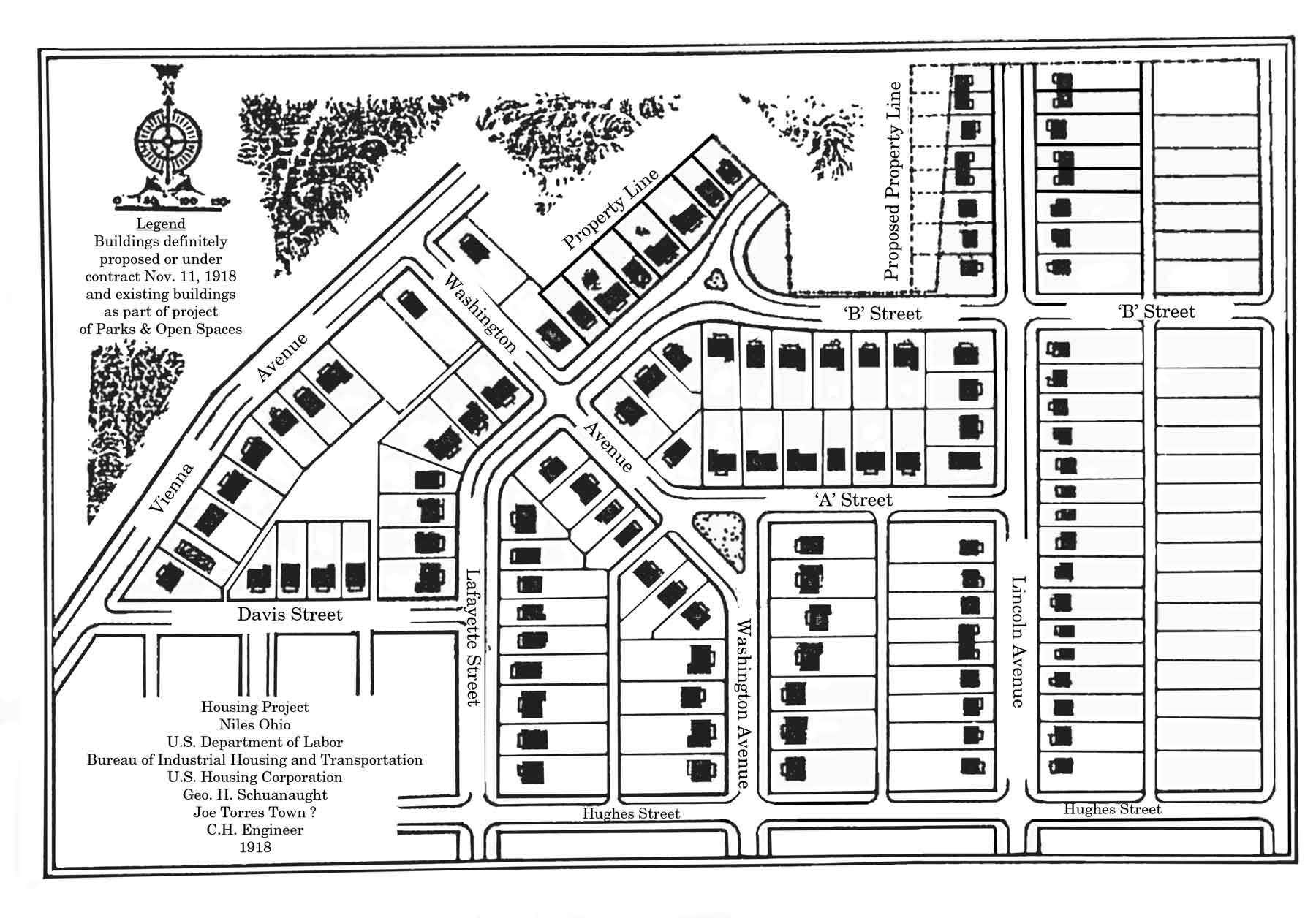
Map outlining the entire Stein property on which
the Federal Government wished to build housing for the workers
employed in vital war industries. |
|
| 
Open area surrounded by government
houses would later become a city playground in 1955. |
The playground site
is on land which was owned by the U.S. Government following a
Post World War I housing project and which was turned over to
the city some years ago.
It became a city playground with equipment in
1955. Personal note: during the summer, softball teams from other
city playgrounds would play the Davis Street playground team on
this field.
There is a narrow fenced–in path on Davis
Street that is still used to access the area. |

Present day(2024) view of former
Davis Street playground.
|
|
| Fred
Stein May Sue U.S. for Niles Property.
|
|
Defied Federal Authorities
with Gun.
Washington, July 10– When Fred Stein of Niles
defied federal authorities with a shotgun in 1918 as they appeared
to take over his property under condemnation proceedings for
a wartime housing project, he began a series of legal complications
which today are puzzling several keen Washington lawyers.To
date Stein has received nothing for the property which the government
took over. Neither has his creditors, the Youngstown Home Savings
& Loan Company, who took a mortgage on the Stein place before
the government became interested in it.
Peculiarly enough, the failure
of both, to receive settlement isn’t because the government
hasn’t shown a disposition to settle. As an evidence of
what they have tried to do for Stein, attorneys for the U.S.
Housing Bureau dig up an appropriation bill passed last year
for the reimbursement of persons whose property was taken over
during the war. Then they show letters sent to Stein offering
him $6,400 in settlement for the land the government took. But
the price was not accepted, and now the appropriation has lapsed,
making it unavailable.
|
|
| 
Stein family in front of home, ca 1905. PO7.112 |
Must
Go to Court of Claims.
Niles Daily News July 7, 1921
As a result, Stein and his creditors are now expected to bring
the whole matter before the U.S. Court of Claims at Washington
in an attempt to prove that they have not been fairly dealt with.
Stein says he will enter a claim for $40,000 against the government
on his own behalf and for $20,000 to cover his wife’s equity
in the property.
When Housing Bureau officials took over the Stein
place at Niles, they put a value of $8,500 upon it and it led
to the landholder’s protest against this which brought on
the shotgun episode. Last year, on securing the appropriation
they needed, the bureau attorneys offered Stein the same amount,
or the alternative of accepting three-fourth of it and suing for
any additional amount he believed due him.
He approved the latter idea, according to the Housing Bureau version,
and was prepared to enter the Federal District Court to take action
against the government.
|
|
Government
Wins Case in Big Land Suit.
Important news to property owners of the Government Addition,
Niles, will be the announcement of the Federal Court’s decision
in the Government–Stein controversy, which has been hanging
on for many months. The case was decided in Cleveland yesterday
by Judge D.C. Westenhaver, who returned a decision favorable to
the Government.
The fight between Fred Stein, former owner of the property, and
the Government is of long duration. When the Government announced
its intention of erecting homes in Niles, several allotments were
presented for approval, the Stein property among them. It was
accepted and according to Government officials, a contract made.
Later the property was sold by Stein to his wife and son, who
declared the contract void.
U.S. Takes Land.
Requisition of the land was then made by the Government as a war
measure, and work of erecting the houses proceeded. Stein attempted
several times to take possession of the property, ejecting employees
from the Housing Corporation offices, and attempting to collect
rents. The Government retaliated by bringing legal action for
a quit-claim title and sought to restrain Stein from molesting
the property or its tenants.
Judge Westenhaver, in his decision yesterday,
held that Stein has no rights to the property, that the title
of the Government to the land is valid and good, and that the
alleged sale made by Stein to his wife and son void. The decision
forever enjoins Stein from interfering with the Government or
trespassing upon the property.
In Court of Claims.
Notice of the decision was forwarded to City Solicitor MacQueen
this morning. No decision has been made regarding the payment
of money due Stein from the Government, and it is probable that
this will be handled through the Court of Claims. |
|

2024 aerial view of the Davis Street playground
and the Stein residence. |
Heaton Family
The property was originally owned by James Heaton, founder of
Niles.
It was transferred to his son Lewis Heaton in
1823, the year Lewis married his wife Mille Anne.
The Heaton’s ran a working farm on the
110 acre property. Lewis died in 1842 and Mille Anne not long
after in 1853. |

Heaton–Stein
home at 853 Vienna Avenue. |
|
Stein
Family
Joseph and Frederica Stein, immigrants from
Prussia Germany, moved to Niles in the mid 1800’s with their
5 children. Joseph was a volunteer in the army and Fredericka,
along with her 5 children, ran the property as a working animal
farm as well as the area’s “ice business”.
The story of Jacob and Carolyn Fredericka Hacker
Stein by Lucille Stein Perry, found in the Trumbull County
Library’s Genealogy Center, references that the home was
part of the underground railroad. She wrote: “Years ago
there was what was called the Underground Railroad where people
helped southern slaves get to the North. In this house, in the
back part of the cellar was a part of this underground railroad”.
The Steins are also know for the famous “Stein
Brothers”, Herb and Russ who were part of the “Pottsville
Maroons” the contested rightful winners of the first NFL
championship of 1925. (Reference: The Breaker Boys – book
telling of the amazing story). Russ and Herb Stein were sons of
Frederick David Stein and Nancy Eaton Troxel Stein. It was their
maternal great grandfather, Daniel Heaton who built the first
iron furnace in the Western Reserve.
During the early 1900’s Cherry and Lafayette
Streets ended in a pasture of Frank Stein’s farm. Their
home was located on Vienna Avenue.
Following the passing of Fredericka Stein in
1912, all but the current plot on which the home currently resides
was seized by the government for the purpose of war housing in
1918 (In support of World War I).
To
learn about the Stein House, Click here. |
|
|
|